当前甜玉米主要病虫发生情况及防治意见
当前,田间甜玉米生育期参差不齐,大部分处于收获期。据监测,目前发生的病虫主要有草地贪夜蛾,玉米螟,大、小斑病。
一、主要病虫发生情况
草地贪夜蛾:轻度发生,零星地块中等发生。百株幼虫平均3头,高的21头;平均株受害率为3%,高的为21%。

草地贪夜蛾幼虫形态

草地贪夜蛾为害状
玉米螟:轻度发生。平均株受害率为2.7%。

玉米螟幼虫形态

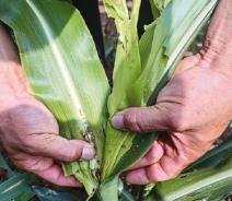
玉米螟为害状
大、小斑病:个别地块零星发生。

玉米大斑病

玉米小斑病
二、发生趋势分析
据广州气象台预报,6月气温较常年同期相比偏高0.5-1℃,降水量较常年同期相比偏少0-1成,预计6月还有4次降水过程:9-12日、17-19日、22-24日、27-29日。玉米生育期参差不齐,为害虫提供了丰富的食料。根据上述条件,预计下一阶段草地贪夜蛾、玉米螟等病虫害会加重发生。
三、防治意见
草地贪夜蛾:坚持“早发现、早预警、早处置”原则,以“保幼苗、保心叶、保果穗”为重点,卵虫兼治。重点抓牢低龄幼虫防治关键期。可选用乙基多杀菌素、虱螨脲、四唑虫酰胺等化学农药,有条件的可选苏云金杆菌、金龟子绿僵菌、印楝素等生物农药。
玉米螟:重点抓牢大喇叭口防治关键期。药剂可选用四氯虫酰胺、四唑虫酰胺等化学农药,有条件的可选甘蓝夜蛾核型多角体病毒、苏云金杆菌等生物农药。
大、小斑病:发病初期,及时施药防止病害进一步扩展蔓延。可选用吡唑醚菌酯、肟菌·戊唑醇、嘧菌·戊唑醇、丙森锌等农药。
四、用药注意事项
(一)目前气温偏高,施药时间宜选择上午10点前或下午4点后,盛夏时节可选择晚上施药。
(二)轮换交替用药,使用高效、低毒、低残留农药适时进行防治,收获前15天应停止施药且严格遵守安全间隔期,以确保甜玉米食用安全。
关于我们 | 网站地图 | 联系我们 | 网站申明 | 隐私安全 | 使用帮助
网赌平台版权所有,未经授权禁止复制或建立镜像
主办单位:十大网赌平台推荐 运营维护及技术支持:网赌平台 访问人数统计:-
公安机关备案号:44011102001333
粤ICP备20004752号-1 网站标识码:4401000027







